Myyntikohteet » 1. Uutisposti Ky:n konkurssipesä, IMATRA (3603257-3), 12.03.2026 » 1. Pakettiauto Toyota Hiace vm. 2010
Kohdenumero 227552
Katsottu 2255 kertaa
Rekisteritunnus: RPN-462
Merkki: Toyota
Malli: Hiace 2.5 D 117 5ov 4WD
Ajoneuvoluokka: N1/ Pakettiauto
Ajoneuvoryhmä:
Valmistenumero: JT121JK1800017338
Moottoritilavuus (cm³): 2494
Moottorin teho (kW): 86
Käyttöönottopäivä: 15.06.2010
Omamassa (kg): 1875
Kokonaismassa (kg): 2925
Ajoneuvon leveys (mm): 1800
Moduulin kokonaismassa tieliikenteessä (kg):
Kuormakorin tyyppi:
Käyttövoima: Dieselöljy
Jarrujen lukkiutumisen estojärjestelmä: ABS
Viimeisen katsastuksen pvm: 10.06.2025
Seuraava katsastus: 10.06.2025 – 22.06.2026
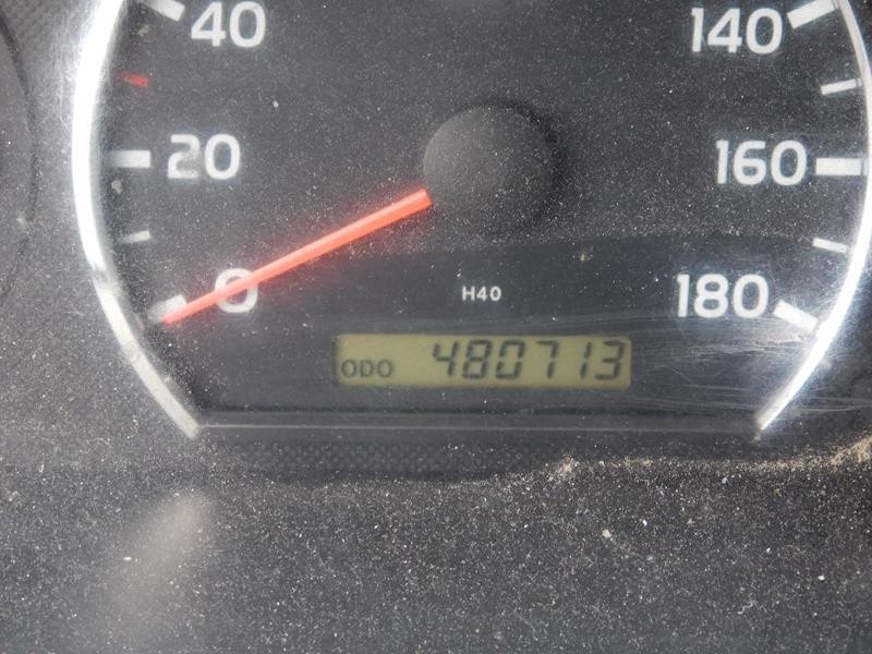
Mittarilukema: 480713 km
Ajoneuvon tila: Liikennekäytössä
- Suoraan ajosta jäänyt seisomaan pihalle, ruostetta ja käytön jälkeä löytyy.
- Kesärenkaat löytyy mukaan
Konkurssipesä ei vastaa ajoneuvojen mahdollisista erääntyneistä käyttövoima ym. veroista ja maksuista.( ajoneuvojen verotiedustelut TRAFI puh. 0206185125 )
Myytävää omaisuutta koskeviin tiedusteluihin vastaa Jouni Laamanen p. 0500-761 113.
Konkurssipesä pidättää oikeuden hyväksyä tai hylätä tehdyt tarjoukset.
-
Uutisposti Ky:n konkurssihallinto
Verkkohuutokauppaan osallistuminen edellyttää myyntiehtojen hyväksymistä. Hyväksymisen jälkeen ostajan ja myyjän välinen sopimus tulee voimaan, ja ostajalla on oikeus tehdä myyntikohteista tarjouksia.
Huomaa että tarjoukset ovat sitovia, eikä palautusoikeutta ole. Ostajan on noudettava kaupan kohde omalla kustannuksellaan, huutokauppailmoituksessa tai maksu- ja nouto-ohjeissa mainittuna määräaikana. Ostaja on velvollinen korvaamaan kaupan kohteen luovutuksesta ja varastoinnista syntyvät kulut, jotka syntyvät ilmoitetun noutomääräajan jälkeen.
TÄRKEÄÄ
Kauppahinnan maksun laiminlyönnistä Lainvoima.com perii uudelleenmyynnin kuluina ja korvauksena 10% kauppahinnasta, kuitenkin vähintään 90 euroa, lisättynä arvonlisäverolla. Mikäli ostaja ei maksa edellä mainittua maksun laiminlyöntiin liittyvää maksua, on Lainvoima.com:lla oikeus siirtää saatava perintätoimiston hoidettavaksi. Edellä mainitun lisäksi Lainvoima.com:lla on oikeus laskuttaa ostajalta kaupan peruuntumisesta aiheutuneet kohtuulliset kulut. Myyjällä on mahdollisuus hyväksyä tai hylätä voittanut huutotarjous.
Lainvoima.com toimii palvelun ylläpitäjänä. Lainvoima.com ei ole verkkohuutokaupan kohteena olevan omaisuuden myyjä tai välittäjä. Myyjä on kulloinkin mainittu konkurssipesä, joka ei ole kuluttajansuojalain 1 luvun 5 §:ssä tarkoitettu elinkeinonharjoittaja. "Elinkeinonharjoittajalla tarkoitetaan tässä laissa luonnollista henkilöä taikka yksityistä tai julkista oikeushenkilöä, joka tuloa tai muuta taloudellista hyötyä saadakseen ammattimaisesti pitää kaupan, myy tai muutoin tarjoaa kulutushyödykkeitä vastiketta vastaan hankittaviksi."
Näin ollen Lainvoima.com –sivuston verkkohuutokauppaan ei sovelleta kuluttajansuojalain mukaisia kuluttajankauppaa koskevia säännöksiä.
Lainvoima.com käsittelee ostajien tietoja luottamuksellisesti voimassa olevien lakien ja tietosuojaa koskevien ohjeiden edellyttämällä tavalla, eikä tietoja luovuteta kolmannelle osapuolelle ilman ostajan lupaa ja suostumusta.
Minimikorotus 50 €
Huutokauppa päättyy 22.3.2026 klo 20:00 tai kolme minuuttia viimeisen hyväksytyn tarjouksen jälkeen.
Korkein tarjous käyttäjällä *******0339
Tilaa käyttäjätunnus tekstiviestillä:
LAINVOIMA LIITY numeroon 16130 (hinta 2,50 €). Saat paluuviestillä tunnuksen, joka on voimassa 30 päivän ajan.
Huom! Lyhytnumeromme alkuun ei pidä laittaa maakoodia +358, koska silloin viesti ei kulkeudu perille.
Voit tehdä tarjouksen myös tekstiviestillä. Korota tarjousta minimikorotuksen verran lähettämällä tekstiviesti:
LAINVOIMA 227552
numeroon 16130
(hinta 2,50 €/viesti). Mikäli tarjouksesi ylittyy, saat siitä ilmoituksen tekstiviestillä.
Huom! Lyhytnumeromme alkuun ei pidä laittaa maakoodia +358, koska silloin viesti ei kulkeudu perille.
Kohdenumero 227552
Katsottu 2255 kertaa
Rekisteritunnus: RPN-462
Merkki: Toyota
Malli: Hiace 2.5 D 117 5ov 4WD
Ajoneuvoluokka: N1/ Pakettiauto
Ajoneuvoryhmä:
Valmistenumero: JT121JK1800017338
Moottoritilavuus (cm³): 2494
Moottorin teho (kW): 86
Käyttöönottopäivä: 15.06.2010
Omamassa (kg): 1875
Kokonaismassa (kg): 2925
Ajoneuvon leveys (mm): 1800
Moduulin kokonaismassa tieliikenteessä (kg):
Kuormakorin tyyppi:
Käyttövoima: Dieselöljy
Jarrujen lukkiutumisen estojärjestelmä: ABS
Viimeisen katsastuksen pvm: 10.06.2025
Seuraava katsastus: 10.06.2025 – 22.06.2026
Mittarilukema: 480713 km
Ajoneuvon tila: Liikennekäytössä
- Suoraan ajosta jäänyt seisomaan pihalle, ruostetta ja käytön jälkeä löytyy.
- Kesärenkaat löytyy mukaan
Konkurssipesä ei vastaa ajoneuvojen mahdollisista erääntyneistä käyttövoima ym. veroista ja maksuista.( ajoneuvojen verotiedustelut TRAFI puh. 0206185125 )
Myytävää omaisuutta koskeviin tiedusteluihin vastaa Jouni Laamanen p. 0500-761 113.
Konkurssipesä pidättää oikeuden hyväksyä tai hylätä tehdyt tarjoukset.
-
Uutisposti Ky:n konkurssihallinto
Verkkohuutokauppaan osallistuminen edellyttää myyntiehtojen hyväksymistä. Hyväksymisen jälkeen ostajan ja myyjän välinen sopimus tulee voimaan, ja ostajalla on oikeus tehdä myyntikohteista tarjouksia.
Huomaa että tarjoukset ovat sitovia, eikä palautusoikeutta ole. Ostajan on noudettava kaupan kohde omalla kustannuksellaan, huutokauppailmoituksessa tai maksu- ja nouto-ohjeissa mainittuna määräaikana. Ostaja on velvollinen korvaamaan kaupan kohteen luovutuksesta ja varastoinnista syntyvät kulut, jotka syntyvät ilmoitetun noutomääräajan jälkeen.
TÄRKEÄÄ
Kauppahinnan maksun laiminlyönnistä Lainvoima.com perii uudelleenmyynnin kuluina ja korvauksena 10% kauppahinnasta, kuitenkin vähintään 90 euroa, lisättynä arvonlisäverolla. Mikäli ostaja ei maksa edellä mainittua maksun laiminlyöntiin liittyvää maksua, on Lainvoima.com:lla oikeus siirtää saatava perintätoimiston hoidettavaksi. Edellä mainitun lisäksi Lainvoima.com:lla on oikeus laskuttaa ostajalta kaupan peruuntumisesta aiheutuneet kohtuulliset kulut. Myyjällä on mahdollisuus hyväksyä tai hylätä voittanut huutotarjous.
Lainvoima.com toimii palvelun ylläpitäjänä. Lainvoima.com ei ole verkkohuutokaupan kohteena olevan omaisuuden myyjä tai välittäjä. Myyjä on kulloinkin mainittu konkurssipesä, joka ei ole kuluttajansuojalain 1 luvun 5 §:ssä tarkoitettu elinkeinonharjoittaja. "Elinkeinonharjoittajalla tarkoitetaan tässä laissa luonnollista henkilöä taikka yksityistä tai julkista oikeushenkilöä, joka tuloa tai muuta taloudellista hyötyä saadakseen ammattimaisesti pitää kaupan, myy tai muutoin tarjoaa kulutushyödykkeitä vastiketta vastaan hankittaviksi."
Näin ollen Lainvoima.com –sivuston verkkohuutokauppaan ei sovelleta kuluttajansuojalain mukaisia kuluttajankauppaa koskevia säännöksiä.
Lainvoima.com käsittelee ostajien tietoja luottamuksellisesti voimassa olevien lakien ja tietosuojaa koskevien ohjeiden edellyttämällä tavalla, eikä tietoja luovuteta kolmannelle osapuolelle ilman ostajan lupaa ja suostumusta.